linkedin pixel
Fullskärm
Fullskärm
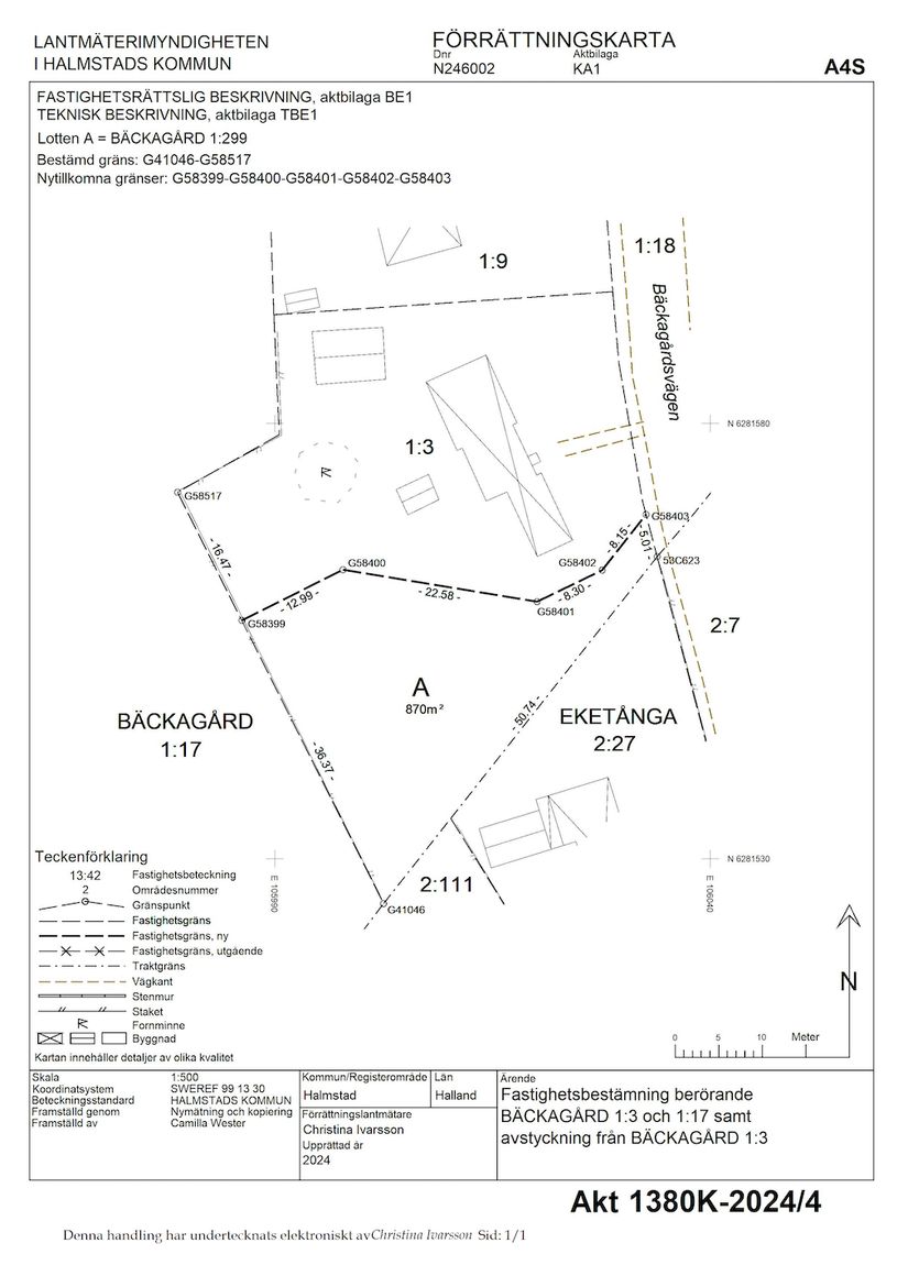
Tomt870 m² tomt

Fakta om bostaden

  • Pris2 500 000 kr
  • BoendetypTomt
  • UpplåtelseformÄganderätt
  • Tomtarea870 m²
  • Dagar på Boneoaugusti 2024

Beskrivning

Kolla här, en tomt att bygga på i alltid lika populära Stenhuggeriet!
Tomten om 870 kvm är avstyckad från grannfastigheten och står redo för dig som vill bygga ditt drömboende med valfritt husföretag eller kanske rita något helt efter egna idéer, valet är ditt! Baksidan gränsar mot mindre skogsparti som få nya gröna kläder varje år. Och glöder minst lika vackert till hösten. Ett mer barntillåtet område är svårt att tänka sig. Området har hus i olika stilar och deras tomter har vuxit upp och fått karaktär med träd och buskar. Avståndet till flera förskolor samt skolor är inte långt vilket gör det tryggt och smidigt så barnen lätt kan ta sig dit för egen maskin när det väl är dags. Det är lika nära ner till Prins Bertils leden, Grötviks hamn och Eketångaskogens blåbärssnår som till Flygstaden med sitt stora utbud.

Tillfälle som detta är sällsynt så häng med på visning när det är dags!
Söndrum / Stenhuggeriet, Halmstad

Bäckagårdsvägen 15A

Tomt870 m² tomt

Mäklare

banner

Tjänster

Bolån

Räkna på bolån för Bäckagårdsvägen 15A
nordeaAlltid personlig ränta på ditt bolånRäkna här
Jämför bolån från olika banker!
lanekollPersonlig hjälp hela vägen hem!Räkna direkt!

Hur många vill köpa din bostad?

Med BoneoMatch™ ser du hur många som letar efter en liknande bostad i ditt område.

Läs mer
Loading...
Söndrum / Stenhuggeriet, Halmstad

Bäckagårdsvägen 15A

Tomt870 m² tomt

Mäklare