linkedin pixel
Tillbaka till sökresultatet
Fullskärm
Fullskärm
Tillbaka till sökresultatet
externalLinkIconAlla bilder
På G!
Först på Boneo
Hästgård9 rok283 + 2021 Ha tomt

Fakta om bostaden

  • Pris7 995 000 kr
  • BoendetypHästgård
  • Antal rum9 rok
  • Boyta283
  • UpplåtelseformFriköpt
  • Biarea20
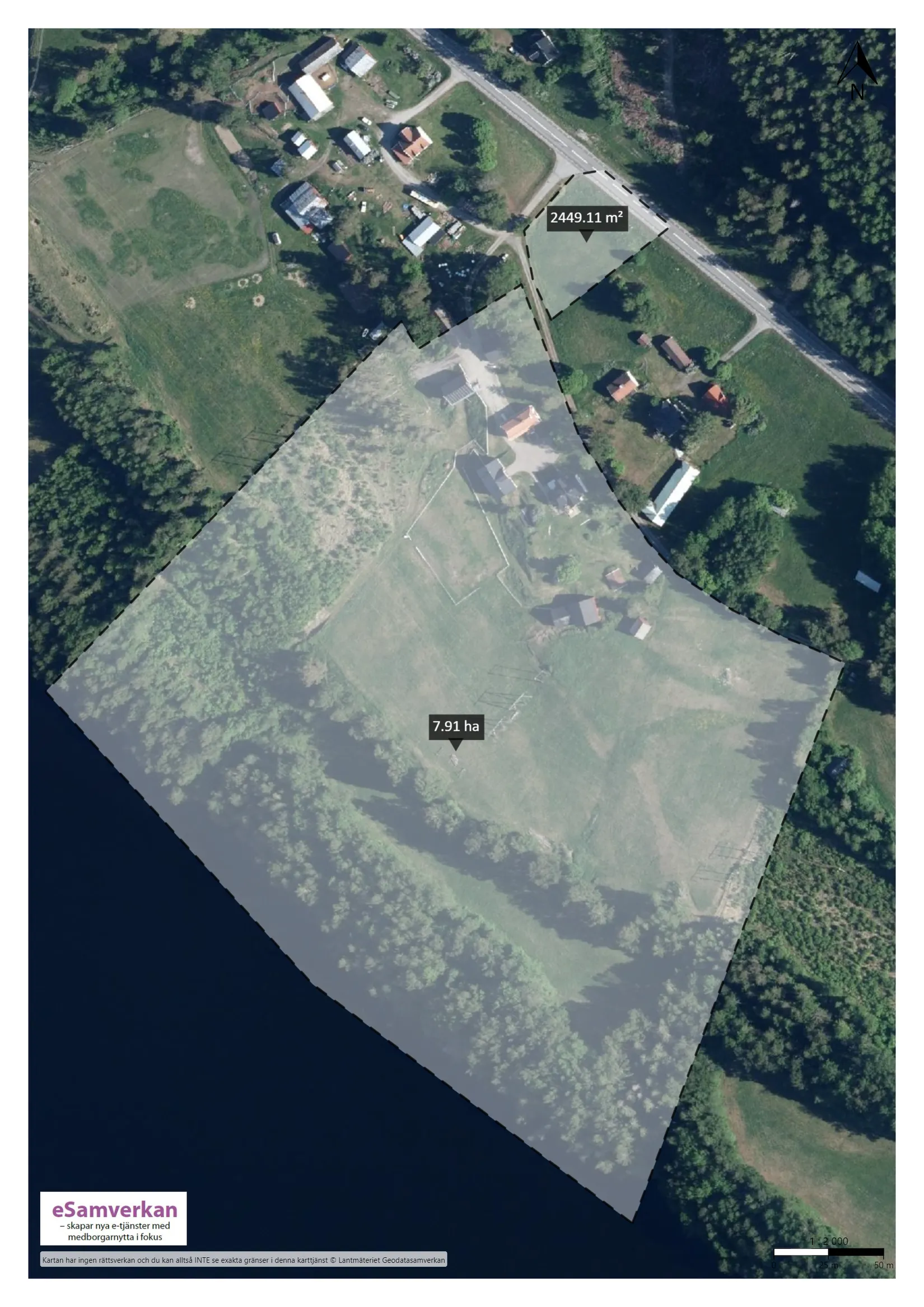
  • Tomtarea21 Ha
  • Kvadratmeterpris (kr/m²) 28 251 kr/m²
  • Byggnadsår1914

Beskrivning

En riktig gårdsdröm uppenbarar sig när man närmar sig denna otroliga gård utanför Indal. Beläget precis vid Indalsälven med mycket fina möjligheter för både hästägare och egenföretagare i behov av välskötta, renoverade byggnader med stora ytor både i ekonomibyggnader och bostadshus. På gården kan både en och två familjer flytta in tack vare det helrenoverade gårdshuset om ca 115 kvm boarea och man har både ett modernt stall, garagebyggnader för bilar, traktorer och större fordon samt förvarings- och verkstadsytor. Här finns också en loge med lösdrift för hästarna, härbre och jordkällare. Samtliga byggnader är ovanligt välskötta med löpande underhåll av till exempel utvändig målning och tak. Älven kan man nyttja och njuta av, vid den egna stranden. Total ca 21 ha mark med mestadels gårds-, åker- och hagmark.

Mangårdsbyggnad uppförd under träpatronernas era 1914 i en mycket vacker och herrgårdslik stil. Här finns massor av renoverad och välbevarad stil kvar med rymliga rum, massiva trägolv och kakelugn kombinerat med renoverade våtrum och kök, uppdaterat till dagens standard. Drygt 280 kvm boarea som kan utökas på tredje vind om behov finns. Nytt, dubbelfalsat plåttak för några år sedan, treglasfönster och välskötta snickerier. Otroligt påkostat och lättskött värmesystem med ytjordvärme som kombinerats med solceller på hela 29 kWp samt solpaneler för varmvattenproduktion vilket gör att driftskostnaderna för hela gården stannar på otroligt låga nivåer. Frikraftsavtal på 6 000 kWh finns dessutom.

För hästägare finns här ett stall med både en äldre del med två boxar samt en nyare del med 2 fullstora boxar samt en ponnybox och spilta. I anslutning till stallet finns hagmark som sträcker sig ner mot älven. Fina ridvägar i området.

Traktorgarage med höga portar där det även finns väldigt stora förvaringsytor på källarplanet. Husbilsgarage och dubbelgarage samt tvätthall.
På G!
Först på Boneo
Indal, Sundsvall

Baggböle 116

Hästgård9 rok283 + 2021 Ha tomt

Mäklare

banner

Tjänster

Bolån

Räkna på bolån för Baggböle 116
nordeaAlltid personlig ränta på ditt bolånRäkna här
Jämför bolån från olika banker!
lanekollPersonlig hjälp hela vägen hem!Räkna direkt!
Bostaden du tittar på matchar med 211 personer i BoneoMatch™

Hur många vill köpa din bostad?

Vi matchar din bostad mot över 500 000 köpsugna personer som går på visningar just nu.

Loading...
På G!
Först på Boneo
Indal, Sundsvall

Baggböle 116

Hästgård9 rok283 + 2021 Ha tomt

Mäklare