linkedin pixel
Fullskärm
Fullskärm
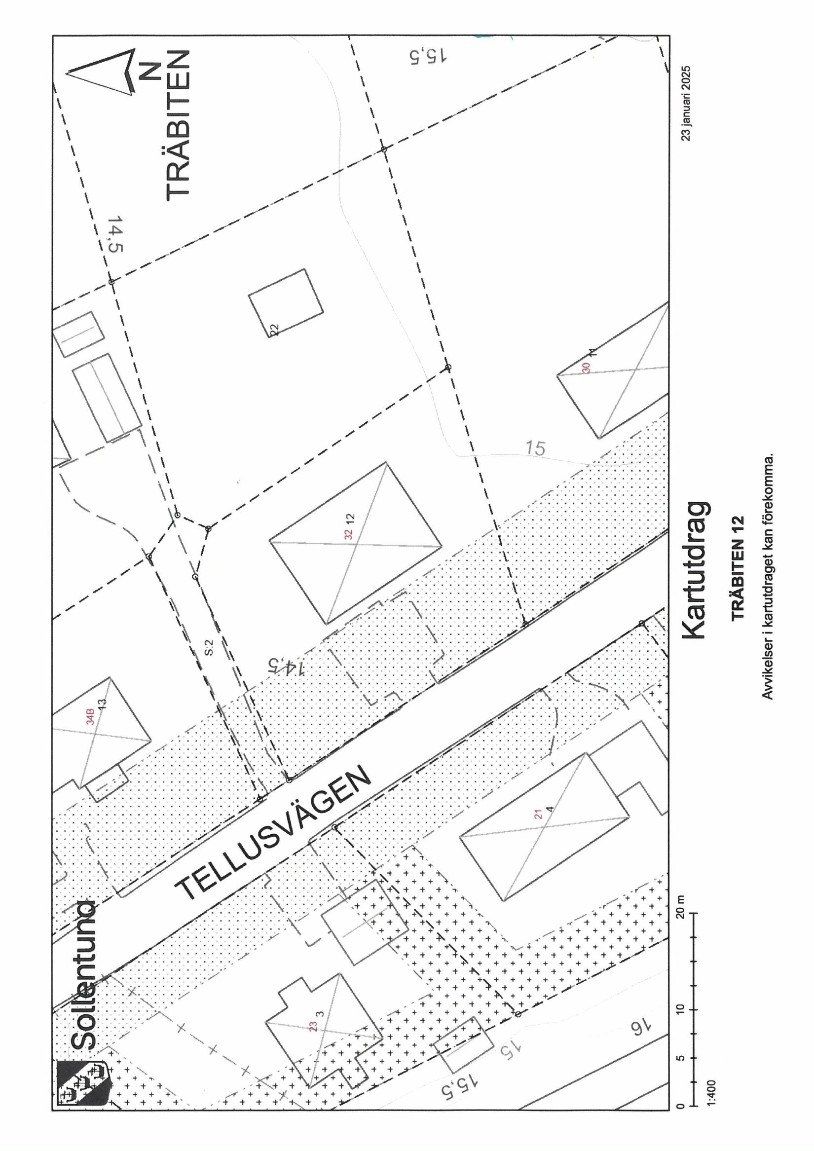
Tomt794 m² tomt

Fakta om bostaden

  • Pris4 750 000 kr
  • BoendetypTomt
  • UpplåtelseformÄganderätt
  • Tomtarea794 m²
  • Dagar på Boneoapril 2025

Beskrivning

Lättbyggd plan villatomt centralt i Sollentuna!

Välkommen till en mycket fin, uppväxt och helt plan trädgårdstomt med fina häckar, björkar och fruktträd. Läget är perfekt för en aktiv barnfamilj, nära stora grönområden, fina promenadstråk längst Edsvikens vatten med trivsamma omgivningar, Edsbergs slottspark, tennisbanor, utegym med strålande utsikt, båtklubbar, badberg och stränder. Mycket nära friidrottsanläggningar, skridskohall, slalombacke, sim- och sporthall, stort utbud av aktiviteter och kultur men även promenadavstånd till flera populära förskolor och skolor. Bra kommunikationer med citybuss på Sollentunavägen och kort promenad till pendeltågsstation vid både Sollentuna C (9 min) och Häggviks C (19 min). Närhet till E4 som går snabbt in till Stockholm city eller ut till Arlanda.

Kontakta byggnadsnämnden på kommunen 08-579 210 00 för mer information.
Det är upp till dig som köpare att själv undersöka vilka byggmöjligheter som finns.

DETALJPLAN:

Fastighet
Minsta tomtstorlek är 800 kvadratmeter.

Omfattning
Inom varje tomt får endast 1 huvudbyggnad och 1,0 komplementbyggnad uppföras.
Högsta utnyttjandegrad i byggnadsarea per tomtarea är 20 %.
Största exploatering per tomt är 200 kvadratmeter byggnadsarea.
Högsta byggnadshöjd för huvudbyggnad är 6,8 meter.
Högsta byggnadshöjd för komplementbyggnad är 2,7 meter.
Av angiven största exploatering per fastighet får högst 50 kvadratmeter byggnadsarea utgöras av komplementbyggnad.

Lägenhetsfördelning
Lägenhetsfördelningen ska vara en bostadslägenhet per huvudbyggnad.

Användning
Komplementbyggnad får inte inredas för bostadsändamål.
Vind får inte inredas utöver angivet antal våningar.

Placering
Byggnad ska placeras minst 4,5 meter från fastighetsgräns.

Anslutningsavgiften för el och VA (vatten, spill, dag och tomtyteavgift) och lägenhetsavgift tillkommer.
Anläggningsavgiften för att ansluta Träbiten 22 till VA är ca 128 000 kr i dagens VA-taxa.
Anslutningsavgiften för elnät är normalt 37 500 kr.
Kontakta SEOM på 08-623 88 00 för mer information gällande anslutningsavgifter för VA och el.
Häggvik/Tureberg, Sollentuna

Tellusvägen 32B

Tomt794 m² tomt

Mäklare

banner

Tjänster

Bolån

Räkna på bolån för Tellusvägen 32B
nordeaAlltid personlig ränta på ditt bolånRäkna här
Jämför bolån från olika banker!
lanekollPersonlig hjälp hela vägen hem!Räkna direkt!

Hur många vill köpa din bostad?

Med BoneoMatch™ ser du hur många som letar efter en liknande bostad i ditt område.

Läs mer
Loading...
Häggvik/Tureberg, Sollentuna

Tellusvägen 32B

Tomt794 m² tomt

Mäklare