linkedin pixel
Tillbaka till sökresultatet
Fullskärm
Fullskärm
Tillbaka till sökresultatet
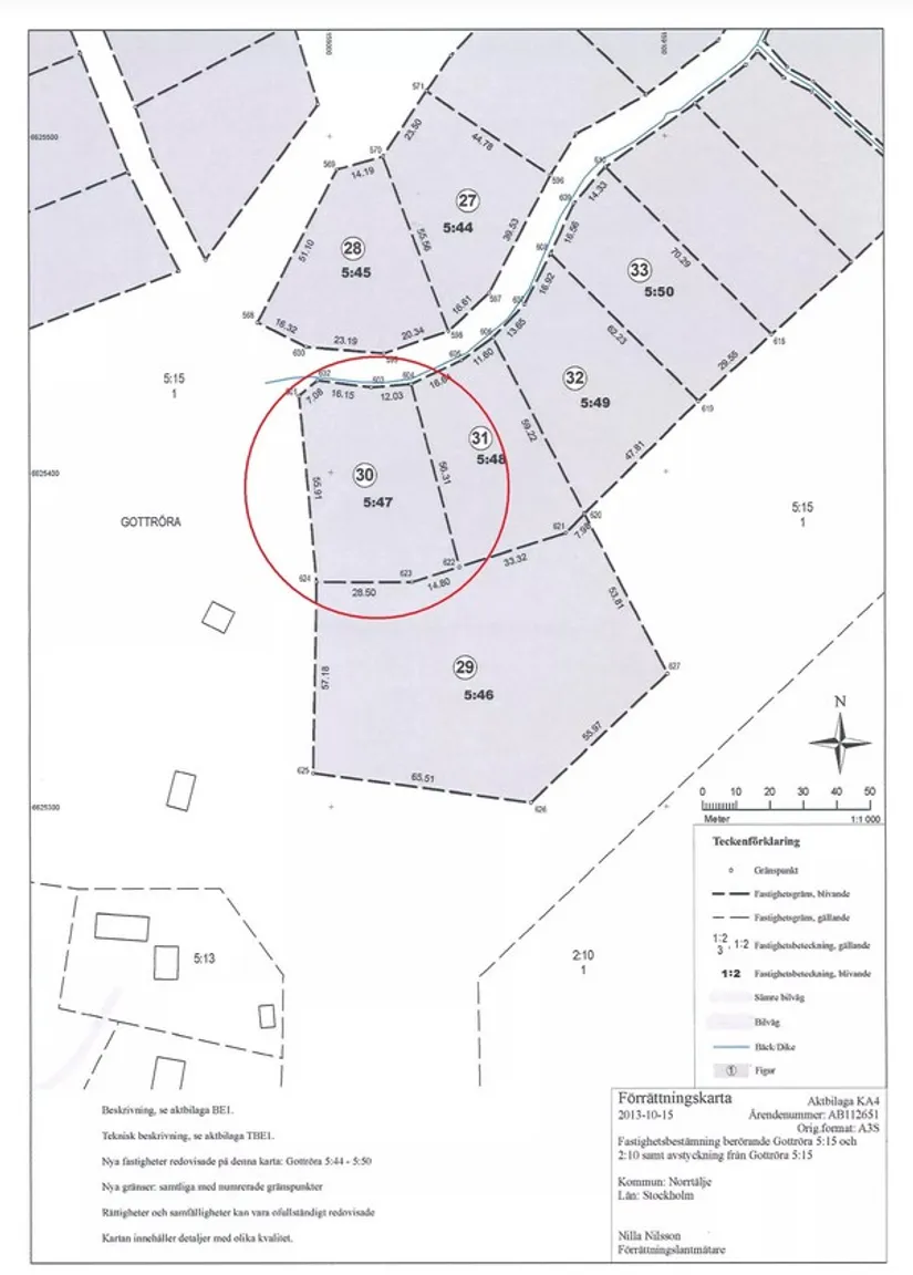
Tomt2 245 m² tomt

Fakta om bostaden

  • Pris1 250 000 kr
  • BoendetypTomt
  • UpplåtelseformFriköpt
  • Tomtarea2 245 m²
  • Dagar på Boneo53 dagar

Beskrivning

Naturtomt med VA

Lantligt och fridfullt på Gottröraslingan i uppvuxet barnvänligt villaområde. Lättillgängligt läge med buss vid riksväg 77 mellan Uppsala och Norrtälje. Endast 20 minuter norr om Arlanda. Närområdet består av öppet kulturlandskap med åkrar, ängar och skogar. Gångavstånd till förskola. VA, el & fiber är framdraget till tomtgräns (anslutningsavgift för VA ingår i tomtpriset). I Rimbo finns affärer, badhus, skolor m.m. Avstånd ca: Rimbo 1,3 mil, Arlanda 2,5 mil, Uppsala 3,5 mil & Stockholm 6,5 mil. Nybyggnadskarta betald (finns bifogad som pdf). Läs mer på mäklarsida...

Vatten, avlopp, el och bredband (fiber) är framdraget till tomtgräns. Anslutningsavgift vatten och avlopp ingår i tomtpris (avloppspumpstation för varje fastighet tillkommer). Byggrätt 150+50 m², se även bifogad detaljplan. Äldre bygglov för tänkt villa och garage finns, ej krav att bygga så. Köparen väljer själv vad som skall byggas framöver.

Tomterna ligger fridfullt i ett nytt småhusområde längst Gottröraslingan strax bakom Gottröra kyrka. Ett lugnt område med "bykänsla". Naturen i området är vacker med idyllisk Roslagsnatur. Runt knuten finns fina strövområden med stora bär- och svampskogar. Gottröra med omnejd består av gammalt, brutet och vackert kulturlandskap med åkrar, beten och skogsmark.

På gångavstånd finns bensinmack med livs, förskola (precis vid infarten till området) och buss till Rimbo, Uppsala, Arlanda och Norrtälje. Affärer, banker, badhus, skolor, vårdcentraler, restauranger och övrig service finns i närliggande Rimbo. Cirka 1,5 km till Johannesbergs slott med golfbana, hotell och restaurang. Gymnasium i Norrtälje. Flera ridhus finns i närområdet.

Pendlingsavstånd cirka: Rimbo (13 km), Arlanda (25 km), Uppsala (35 km), Norrtälje (34 km) och Stockholm (65 km).
Gottröra, Norrtälje

Gottröraslingan 45

Tomt2 245 m² tomt

Mäklare

Tjänster

Bolån

Räkna på bolån för Gottröraslingan 45
nordeaAlltid personlig ränta på ditt bolånRäkna här
Jämför bolån från olika banker!
lanekollPersonlig hjälp hela vägen hem!Räkna direkt!

Hur många vill köpa din bostad?

Med BoneoMatch™ ser du hur många som letar efter en liknande bostad i ditt område.

Läs mer
Loading...
Gottröra, Norrtälje

Gottröraslingan 45

Tomt2 245 m² tomt

Mäklare